IN VENDITA

196.000 €

PUNTI CHIAVE:
  • 960 m2
POSIZIONE:

via bartolomeo colleoni 0, Covo

covo - terreno edificabile in vendita!
Descrizione

IDEALE PER IMPRESE, NUOVA LOTIZZAZIONE IN ZONA STRATEGICA VICINO A NUOVI POLI LOGISTICI !!!!
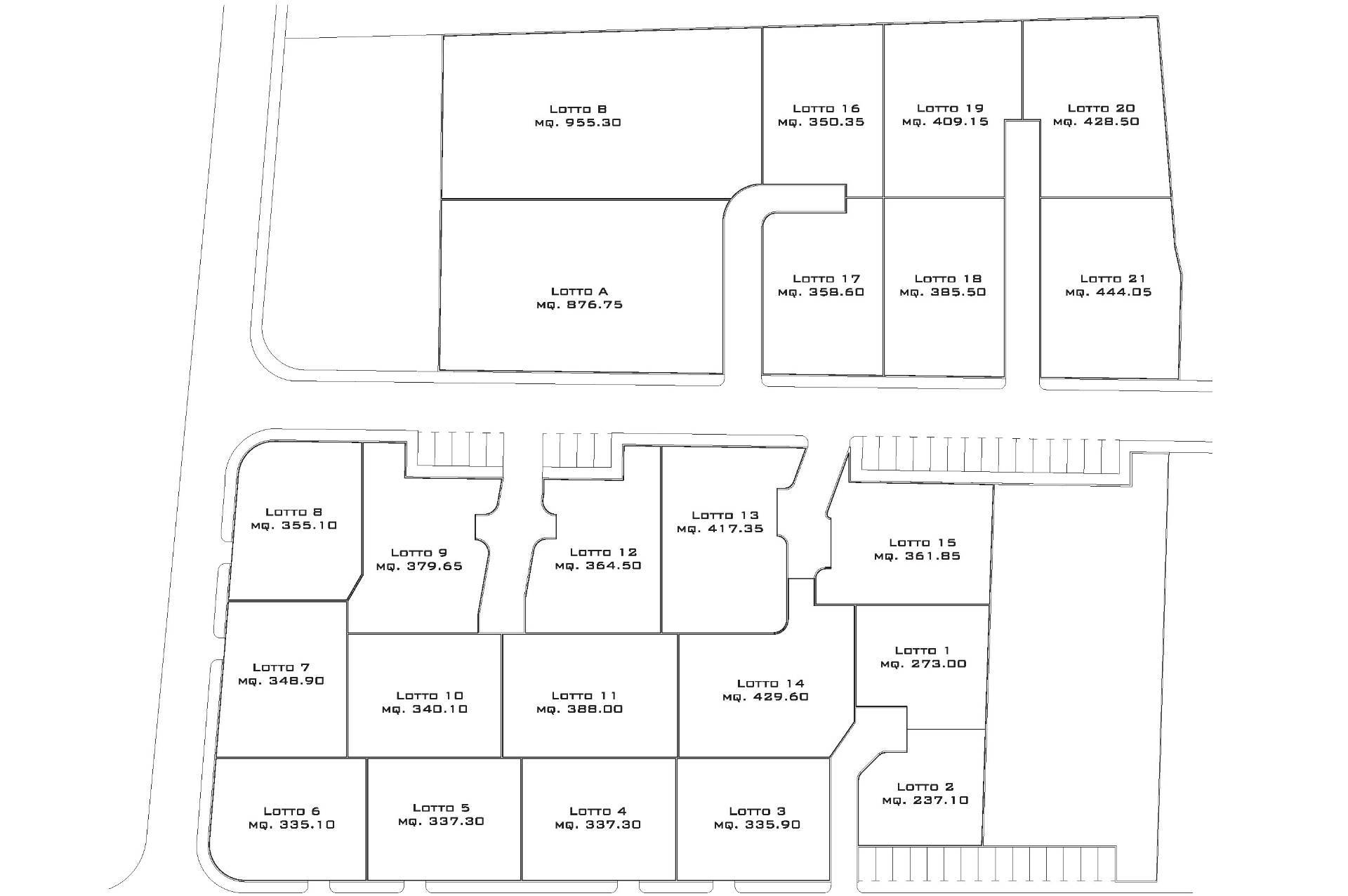
Nel complesso di un progetto di nuova lotizzazione, studiata prevalentemente per ville singole o bifamigliari , questi due lotti si estendono per una superficie di 960 mq e un per volume realizzabile di 2.200 mc, in terreno pianeggiante e di nuova urbanizzazione.
A disposizione due lotti, con volumetrie e cubature identiche e altri lotti per la realizzazione di ville singole o bifamiliari . !!!

Terreno Edificabile per Appartamenti e Ville
Il terreno edificabile si trova in una zona particolarmente tranquilla e ben servita. Questa zona rappresenta una delle aree più richieste grazie alla sua posizione strategica e alla vicinanza ai principali servizi cittadini.
Potenzialità Edificatorie
Il potenziale di questo terreno è notevole, permettendo la costruzione di:
Appartamenti di Ultima Generazione: Progettati per soddisfare le esigenze contemporanee, con tecnologie all'avanguardia per il risparmio energetico e il comfort abitativo.
Ville Singole o Bifamiliari: Perfette per famiglie che cercano spazi ampi e personalizzabili, in un contesto riservato.
Spazi Verdi e Aree Ricreative: Possibilità di integrare giardini privati, parchi giochi e aree comuni per il benessere degli abitanti.
Vantaggi dell'Acquisto

  • Crescente Domanda di Mercato: La richiesta di immobili moderni e sostenibili è in continuo aumento, garantendo un buon ritorno sull'investimento.
  • Flessibilità Progettuale: La possibilità di diversificare l'offerta con soluzioni su misura che rispondano alle specifiche richieste dei potenziali acquirenti.
  • Contesto Elegante: Le costruzioni nella zona sono caratterizzate da un'architettura raffinata, contribuendo a mantenere l'eleganza del quartiere.
Investire in questo terreno rappresenta un'opportunità unica per gli operatori del settore immobiliare che desiderano offrire un prodotto di alta qualità in una delle aree più promettenti.

Panoramica
  • Riferimento: 77922
  • Camere: 0 Camere
  • Bagni: 0 Bagni
  • Superficie: 960 m2
Dettagli
ID Interno:
77922
Prezzo:
€ 196.000
Superficie:
960 m2
Tipo di Proprietà:
Terreno edificabile
Riscaldamento:
Assente
Ubicazione
(Ubicazione approsimativa)
Calcola il Mutuo
Rata Mensile: € 946,95
Il valore sopra riportato ha solo scopo indicativo ed è variabile in base al singolo Ente finanziatore ed al tasso indicato.
Contatta l'agenzia
avatar
Ital Home Osio Sotto
035808289
osiosotto@ital-home.it
Perchè Scegliere Noi?
  • Acquisti in sicurezza
  • Miglior Prezzo Garantito
  • Consulenza personalizzata
  • Ascolto, dedizione, esperienza
Valuta la Tua Casa

Scopri il vero valore della tua casa o di quella che vuoi acquistare!

Inizia Valutazione
image
In base alla tua ricerca

Potrebbe interessarti

Appartamento a Villa d'Almè
  • In Vendita
Appartamento

Villa d'Almè

  • 4
  • 2
  • 270m2
  • Doppio
avt
Studio Casa Villa D'Almé
€ 195.000
Villa a Villa d'Almè
  • In Vendita
Villa

Villa d'Almè

  • 4
  • 2
  • 96m2
  • Singolo
avt
Studio Casa Villa D'Almé
€ 397.000
Villa a Villa d'Almè
  • In Vendita
Villa

Villa d'Almè

  • 4
  • 2
  • 96m2
  • Singolo
avt
Studio Casa Villa D'Almé
€ 420.000